テツ男社長のたわごと
国鉄釧路工場(その1)
車両の修繕、改造などを担っていた国鉄釧路工場(釧路市浪花町)は、1901年7月に釧路機関庫設立と同時に附属修繕場として設置されました。所属は札幌鉄道作業局派出所釧路運輸事務所でした。
1913年5月に旭川工場釧路派出所と名称を変えました。所属は北海道帝国鉄道管理局工作課でした。そして1916年11月、釧路工場として独立しました。1917年12月、黒金町にあった釧路駅は北大通に移転し、移転前の釧路駅は浜釧路駅となりました。しかし、同工場(釧路市幸町)は移転はしないでそのままでした。
1942年9月には機構改正により釧路工機部と変わりましたが、終戦を前に1945年7月には米軍の攻撃を受け大きな被害を受けました。
今回と次回は、釧路新聞社に残っている国鉄釧路工場関係の写真をご紹介します。

車両の修繕、改造などを担っていた釧路市浪花町にあった国鉄釧路工場(1968年撮影)

車両修繕の機能的な配置になっていた国鉄釧路工場(1966年の平面図)

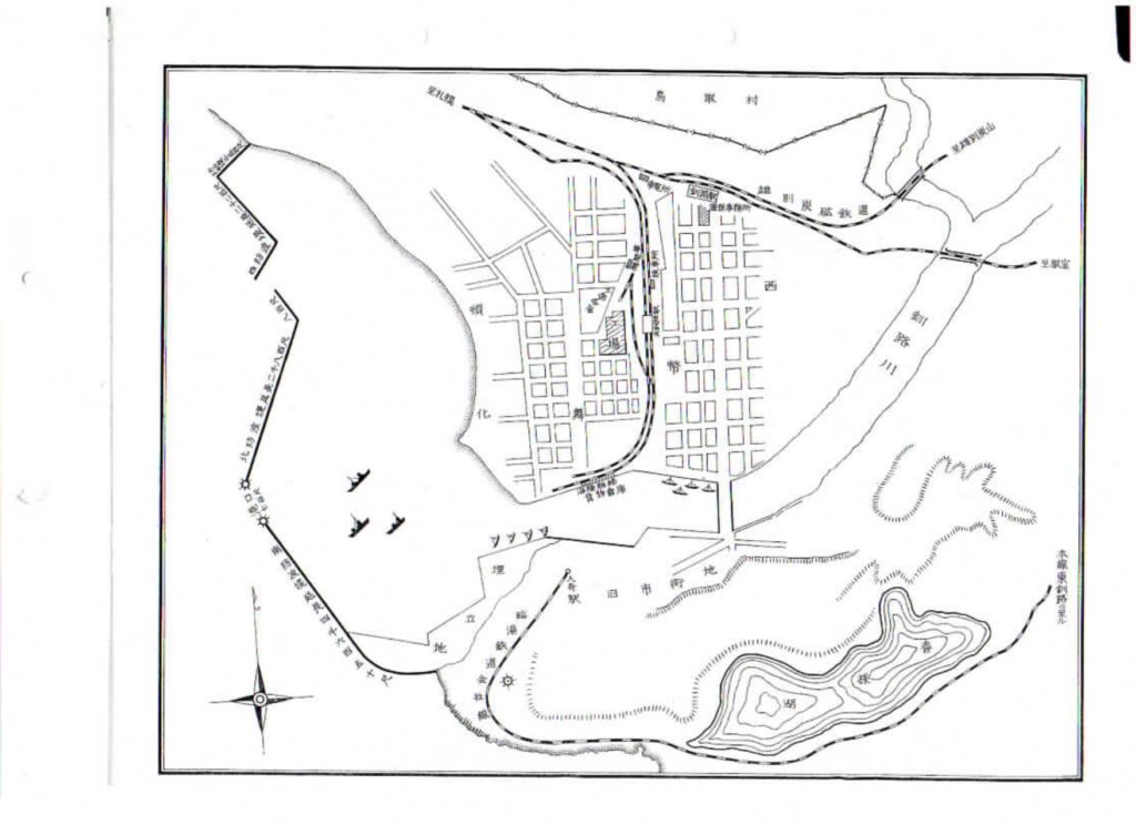
1931年当時の釧路市の地図。中心部に国鉄釧路工場

1931年当時、国鉄釧路工場の受け持ち地域(釧網本線が全通したのはこの年の9月20日のことで、まだ地図に反映されていませんでした)

国鉄釧路工場の職場花壇コンクール審査会(1971年 後ろの車両が気になりますね)

国鉄釧路工場として最後のSL(蒸気機関車)検査出場は9600型(1975年 その1)

国鉄釧路工場として最後のSL(蒸気機関車)検査出場は9600型(1975年 その2)

国鉄釧路工場として最後のSL(蒸気機関車)検査出場は9600型(1975年 その3)
※次回は7月22日ころ更新します。